R 7,900,0001 bedroom home in Pretoria, Waterkloof Glen
View photo galleryPhotos
View photo galleryPhotos
1 of 12
R 7,900,000Prime Development Opportunity – Waterkloof GlenPretoria, Waterkloof Glen
1 0 0 2100 m² 2728 m²
An exceptional opportunity awaits developers and investors in the highly sought-after Waterkloof Glen area.
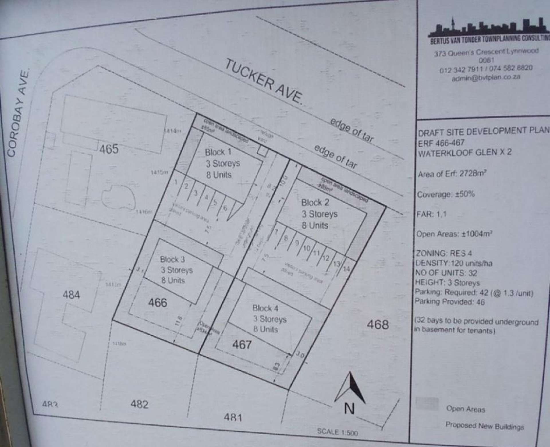
This prime property consists of two adjacent full-title residential properties with a combined stand size of 2,728 m², already approved for rezoning to develop 32 residential units.
The approved development allows for four blocks, each comprising eight units, designed as three-storey buildings with designated parking areas, making this a turnkey opportunity in a high-demand node.
Strategically located less than 1 km from Menlyn Maine, Time Square, and Menlyn Corporate Park, the properties also enjoy close proximity to the busy Garsfontein Road, Hatfield Christian School and Church, Inscape Institution, and The Glen High School—just a short walk away.
This is a rare chance to secure a development-ready site in one of Pretoria East’s most desirable growth corridors, surrounded by top schools, business hubs, lifestyle destinations, and major transport routes.
A true hotspot for residential development not to be missed.
Read More
Read Less
Listing Number
7388375
Type of Property
Commercial ( Full Free Title)
Listing Date
01 May 2026
Erf Size
2728m²
Floor Size
2100m²
Rates and Taxes
R2000
Furnished
No
Bedrooms
1
Bathrooms
0
Commercial Kitchen
1
Garage
0
Parking
0
Calculator
Click to start your bond pre-qualification process
+Pre-qualify
*Disclaimer: Please note that by default this calculator uses the prime interest rate for bond payment calculations. This is purely for convenience and not an indication of the interest rate that might be offered to you by a bank. This calculator is intended to provide estimates based on the indicated amounts, rates and fees. Whilst we make every effort to ensure the accuracy of these calculations, we cannot be held liable for inaccuracies. PlusGroup does not accept liability for any damages arising from the use of this calculator.
Calculator
Scan here!To start your bond pre-qualification process
*Disclaimer: Please note that by default this calculator uses the prime interest rate for bond payment calculations. This is purely for convenience and not an indication of the interest rate that might be offered to you by a bank. This calculator is intended to provide estimates based on the indicated amounts, rates and fees. Whilst we make every effort to ensure the accuracy of these calculations, we cannot be held liable for inaccuracies. PlusGroup does not accept liability for any damages arising from the use of this calculator.